De seguir su rumbo, huracán Genevieve podría golpear con más fuerza que Odile en B.C.S.

 Fue el 2014 cuando Odile golpeo a Los Cabos, dejándolo sin electricidad y prácticamente incomunicado

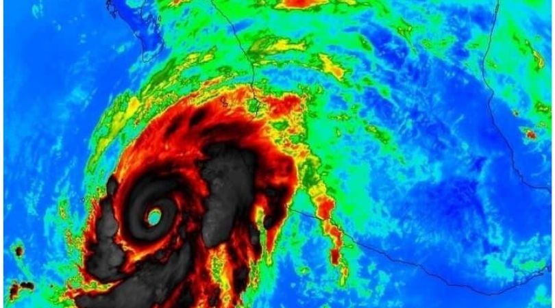
Los Cabos, B.C.S.- En entrevista con Joaquín López-Dóriga en Radio Fórmula, el meteorólogo Alberto Hernández Unzón, informó que, de seguir su rumbo hacia el noroeste, el huracán Genevieve, podría golpear con más fuerza que ‘Odile’ en Baja California Sur.

Fue en septiembre del 2014, cuando el huracán Odile golpeo fuertemente al Estado sudcaliforniano, principalmente al municipio de Los Cabos. Un episodio desastroso que podría repetirse.

Sin embargo, la trayectoria del huracán Genevieve se definirá en las siguientes 12 horas, afirmó Hernández Unzón.

Sin duda serán horas largas para la población de B.C.S., pues al menos en lo que concierne a Los Cabos, su infraestructura sigue siendo obsoleta, siendo este uno de sus mayores problemas, pues los arroyos rápidamente crecen, llevándose a su paso vehículos, arrastrando a personas, y desapareciendo las endebles construcciones de las invasiones, donde habitan miles de familias, con niños, mujeres y adultos mayores. Aunado a las inundaciones de la zona centro tanto de Cabo San Lucas y San José del Cabo.

“El punto de decisión es esta tarde-noche, de seguir este rumbo predominante hacia el noroeste golpearía con más fuerza que Odile de 2014, que pegó con mucha fuerza al área de los Cabos.

Van a ser muy importantes las próximas 12 horas para ver los escenarios: si se pega más al área de Los Cabos o el escenario oficial del Centro Nacional de Huracanes en donde vaya paralelo a la Península de Baja California”, indicó el reconocido meteorólogo.

 Con información de López-Dóriga Digital